Get in Touch with FOX

    By submitting this form, you authorize, ‘FOX Smart Estate Agency’ to contact you and send you information on properties. In addition, you confirm that you agree to our website’s terms of use, our privacy policy and consent to cookies being stored on your computer.

    Contact Us

    Wishlist heart black
    email icon dark
    Phone icon black
    For Sale

    Ref: 12453

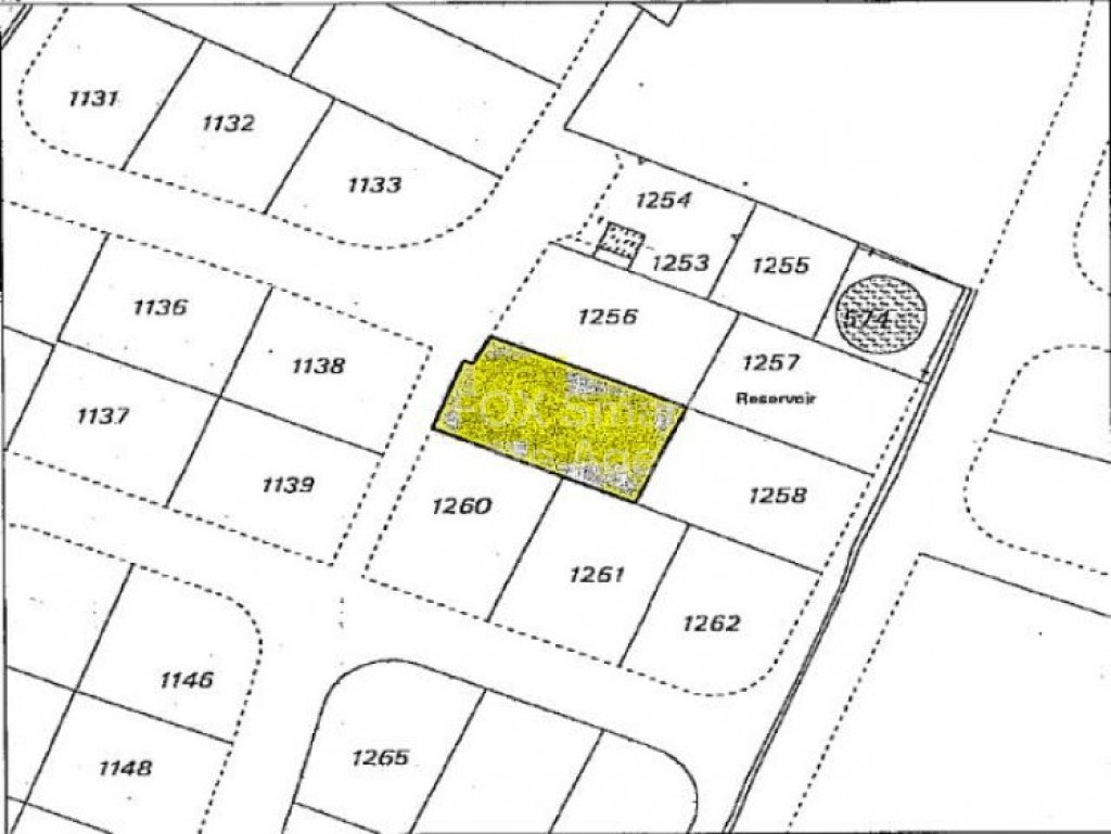
    Land, For Sale, Nicosia, Psimolofou

    Nicosia, Psimolofou
    €100,000
    plot_area_amount 577m²
    building_density 0.50%
    town_planning_zone Residential
    Plot Area
    577m²
    Building Density
    0.50%
    Town Planning Zone
    Residential

    Description

    Residential plot for 577sq.m located at Psimolofou and it falls within H2 zone with 90% building destiny, 50% coverage ratio with option for 2 floors of 8.3 meters height. The price is 100.000 euro. Οικόπεδο για πώληση 577 τ.μ το οποίο βρίσκεται στο Ψημολόφου και εμπίπτει στην οικιστική ζώνη Η2 με συντελεστή δόμησης 90%, κάλυψης 50% με δυνατότητα ανέγερσης μέχρι 2 ορόφους και 8,3 μέτρα ύψος. Τιμή πωλήσεως είναι 100,000 ευρώ.

    Details

    Legacy ID: P-64165
    City: Psimolofou
    Land Type: Plot
    Town Planning Zone: Residential
    Zone: H2
    Building Coverage (%): 0.90%
    Building Density: 0.50%

    Areas

    Plot Area: 577m²

    George Hadjistyllis
    Nicosia Georgiou Davari Office
    Land, For Sale, Nicosia, Psimolofou

      By submitting this form, you authorize, ‘FOX Smart Estate Agency’ to contact you and send you information on properties. In addition, you confirm that you agree to our website’s terms of use, our privacy policy and consent to cookies being stored on your computer.

      ARE YOU INTERESTED?

      Enquire about this property

      Complete the form or send an email to [email protected]
      Privacy Overview

      This website uses cookies so that we can provide you with the best user experience possible. Cookie information is stored in your browser and performs functions such as recognising you when you return to our website and helping our team to understand which sections of the website you find most interesting and useful.