Get in Touch with FOX

    By submitting this form, you authorize, ‘FOX Smart Estate Agency’ to contact you and send you information on properties. In addition, you confirm that you agree to our website’s terms of use, our privacy policy and consent to cookies being stored on your computer.

    Contact Us

    Wishlist heart black
    email icon dark
    Phone icon black
    For Sale

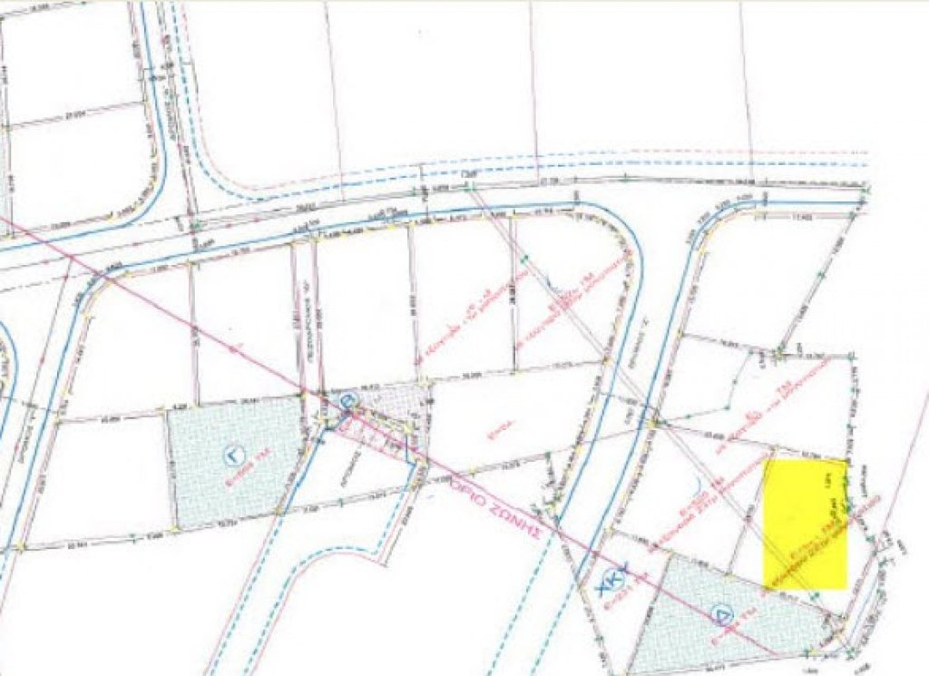
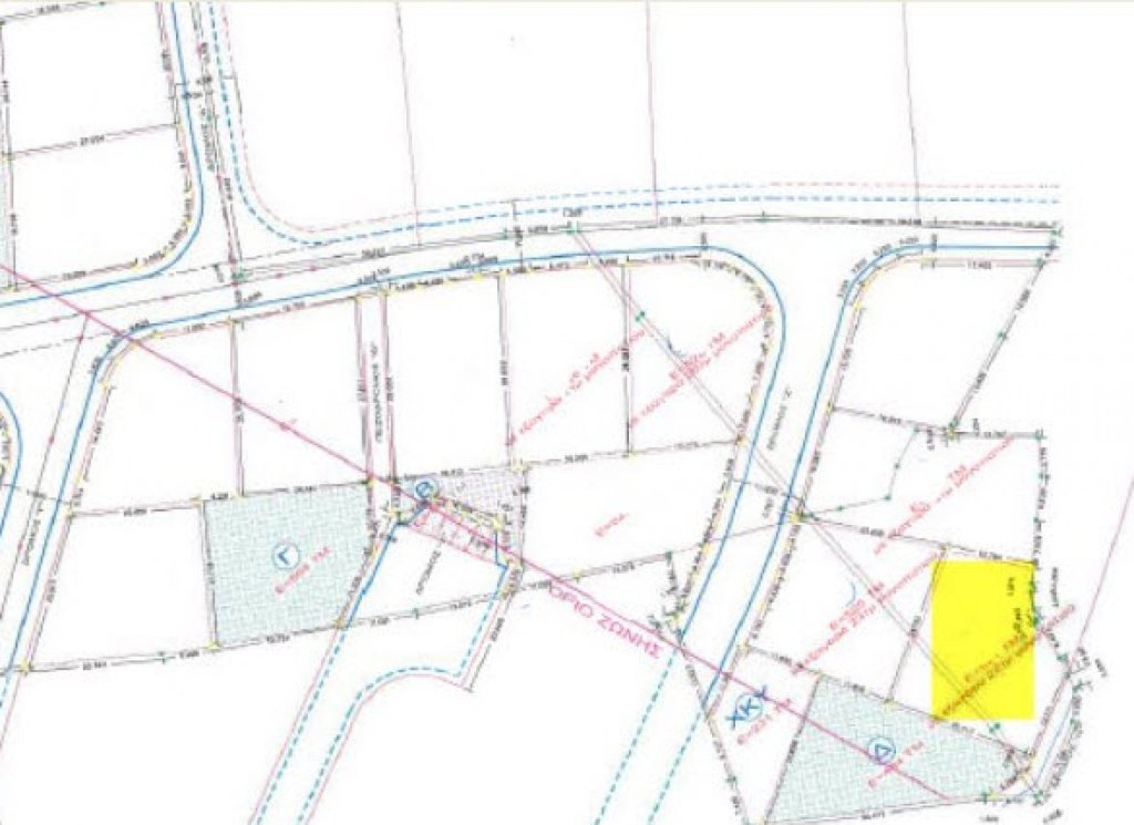
    Ref: 6970

    Land, For Sale, Nicosia, Lakatameia

    Nicosia, Lakatameia
    €160,000
    plot_area_amount 521m²
    building_density 80.00%
    town_planning_zone Residential
    Plot Area
    521m²
    Building Density
    80.00%
    Town Planning Zone
    Residential

    Description

    Residential Plot in Lakatameia, Nicosia, for
    Location

    This plot is in Lakatameia in developed area, near to Lake of ‘Maglis’, close to all amenities.
    It is located near schools, supermarkets, parks, swimming pool.
    Easy access is also available for the Nicosia – Troodos highway.

    Plot Characteristics

    Big plot of 521sqm.


    The plot is located next to a green area.
    It falls within residential zone Ka6.
    Building density of 60%.
    Coverage of 40%.
    The plot has been divided.

    Special Qualities


    Big plot of 521sqm
    Good location
    Priced to sell fast



    Selling price negotiable

    Details

    Legacy ID: P-123463
    City: Lakatameia
    Land Type: Plot
    Town Planning Zone: Residential
    Zone: Κα6
    Building Coverage (%): 50.00%
    Building Density: 80.00%

    Areas

    Plot Area: 521m²

    Despo Seraphim
    Nicosia Georgiou Davari Office
    Land, For Sale, Nicosia, Lakatameia

      By submitting this form, you authorize, ‘FOX Smart Estate Agency’ to contact you and send you information on properties. In addition, you confirm that you agree to our website’s terms of use, our privacy policy and consent to cookies being stored on your computer.

      ARE YOU INTERESTED?

      Enquire about this property

      Complete the form or send an email to [email protected]
      Privacy Overview

      This website uses cookies so that we can provide you with the best user experience possible. Cookie information is stored in your browser and performs functions such as recognising you when you return to our website and helping our team to understand which sections of the website you find most interesting and useful.